

Dearborn, Michigan, police rescued a cat with an arrow in its body, and now, the adoption center that took in the cat is offering a reward for any information that leads to the arrest and conviction of the culprit who took aim at the feline.
The Friends for Animals of Metro Detroit said in a Facebook post Wednesday that Santana was delivered to them by the Dearborn Police Department about 24 hours after he was shot with an arrow.
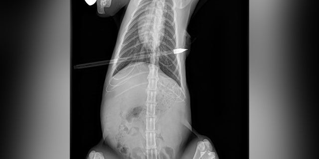
Shelter officials quickly got Santana to Affiliated Veterinary Service, where he was given lifesaving surgery to remove the arrow, which pierced both of his lungs, causing them to collapse.
OHIO FAMILY ESCAPES DEVASTATING HOUSE FIRE AFTER CAT WAKES THEM UP

A Dearborn, Michigan, cat was shot with an arrow and underwent lifesaving surgery. (Photo from Friends for Animals of Metro Detroit Facebook)
Officials said Santana is recovering well at the Friends for Animals intake facility, and once he is fully recovered, he will be available for adoption.
"In his recovery, we’ve been amazed by how sweet and social Santana is," the post read. "Our staff and volunteers will continue to take great care of him until he is ready to find his forever home."

Santana the cat underwent lifesaving surgery to have an arrow removed from his body, which caused both lungs to collapse. (Photo from Friends for Animals of Metro Detroit Facebook)
Meanwhile, the shelter is offering a $1,000 reward for any information that leads to the arrest and conviction of the person responsible for shooting Santana with the arrow.
Those with information about the incident are encouraged to call 313-943-2697, ext. 1017.